Taplines - Short Line and Industrial Railroading in the South

FLORIDA SOUTHERN RAILWAY
PALATKA MAPS
ALL MAPS FROM THE U OF FLORIDA
click to go to their site

DOCKS
1885
1887

1892

1897

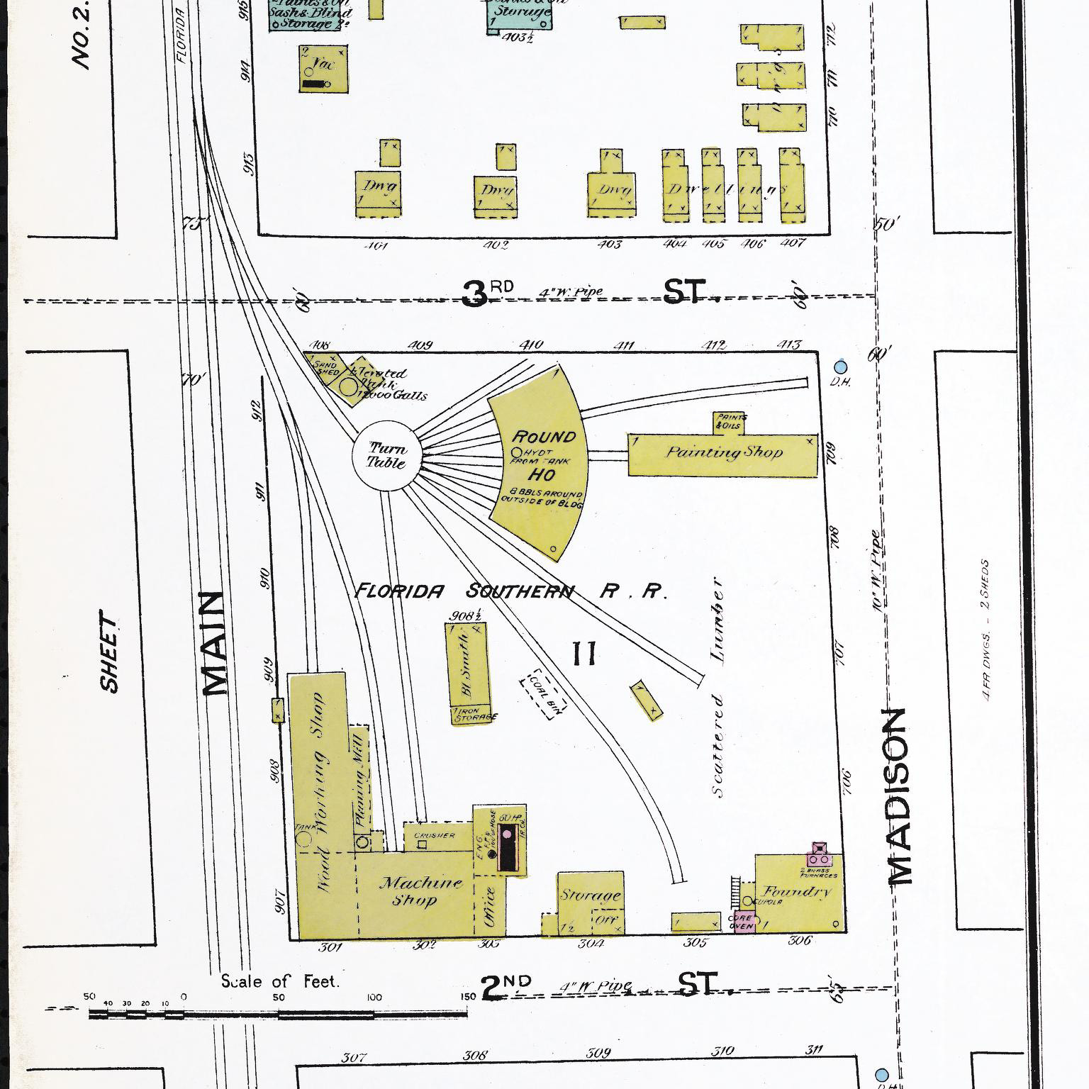
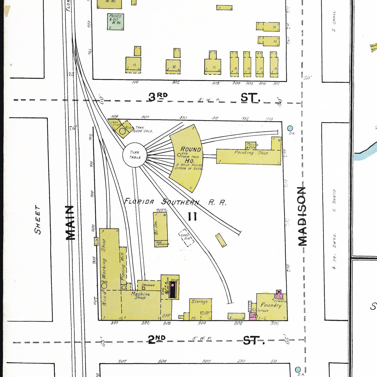
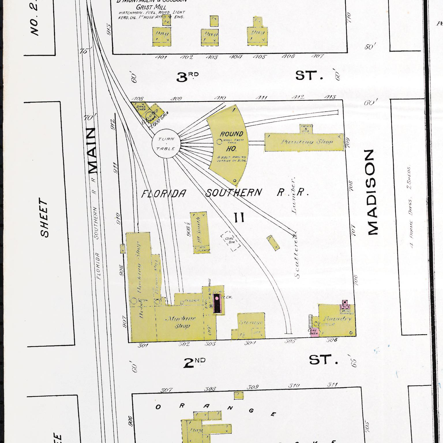
SHOPS
1885

1887
1892

Return to Florida Southern
Return to Taplines